Оголошення Агенти Нотаріуси Інвестуй у землю Подати оголошення
Увійти
Повернутися до результатів пошуку

ПРОДАМ Дніпропетровська область, Дніпровський район Кадастровий номер 1221486200:05:016:0638

0.15

загальна площа, Га

0.15

площа яка продається, Га

660000 грн. / 4400000 грн.

загальна вартість / ціна за Га

  • Область:

    Дніпропетровська область
  • Район:

    Дніпровський район
  • Місто:

    Новоолександрівка
  • Артикул:

    25539

  • Кадастровий номер:

    1221486200:05:016:0638

    Перевірено в держ гео кадастрі

  • Цільове призначення:

    02.01 Для будівництва і обслуговування житлового будинку, господарських будівель і споруд (присадибна ділянка)

Опубліковано: 18.01.2024

Можливий торг

190

  • Електрика

    Комунікацїї по вулиці, які можна підвести до ділянки, йде активна забудова новими будинками

  • Газ

    Комунікацїї по вулиці, які можна підвести до ділянки, йде активна забудова новими будинками

  • Вода, можливість поливу

    Комунікацїї по вулиці, які можна підвести до ділянки, йде активна забудова новими будинками

  • Як сьогодні використовується об'єкт?

    Чиста ділянка для будівництва

  • Додаткова інформація

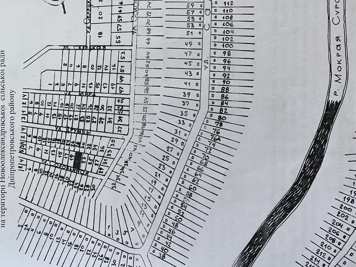
    Продам приватизовану ділянку 15 соток під будівництво. Є кадастровий номер. Ділянка розташована ближче до об'їзної дороги. 8 км від ТЦ "ТЕРРА" (12й квартал, м. Дніпро), на авто 10 хвилин. На вулиці активно будуються нові будинки (на вулиці світло, вода). Ціна 17000 у. е. Тел. 066 387 42 76 Роман Детально: Солов'їна, 21, ділянка: 15 соток.

Власник

1

оголошення

851

добу з нами

Роман П.

  • Новоолександрівка

  • Показати контакти

​ Банер для моб версії та для сторінки оголошення

Ви не авторизовані

Щоб додати оголошення в обрані потрібно увійти або зареєструватися

Copyright 2026. Всі права захищені.

  • Допомога і Зворотній зв'язок
  • Платні послуги
  • Як працювати з системою?
  • Оголошення
  • Новини
  • Умови використання
  • Політика конфіденційності

Ми в соціальних мережах:

[email protected]

Подати оголошення

Щоб подати оголошення, потрібно авторизуватись або зареєструватись

авторизуватись зареєструватись

Ви не авторизовані

Щоб додати оголошення в обрані потрібно авторизуватись або зареєструватись

авторизуватись зареєструватись

Отримати контакти

Щоб отримати контакти, потрібно авторизуватись або зареєструватись

+380

Забули пароль?

Немає облікового запису? Зареєструватися

Відключення оголошення

Вкажіть вартість, по якій Ви здали в оренду землю: грн.
Не сдана Земля сдана

Оголошення успішно відключено і відкріплено від Вашого профілю!

Замовити безкоштовну консультацію

Залиште свої контактні дані та наш менеджер незабаром зв’яжеться з Вами для проведення безкоштовної консультації.

+380

Заявку надіслано!

Найближчим часом з Вами зв'яжеться оператор банку та проконсультує з усіх питань.

Зрозуміло

Повідомлення надіслано!

Очікуйте відповідь від нотаріуса

Зрозуміло

Заявку надіслано!

Ваше звернення отримано, ми незабаром Вам передзвонимо.

Зрозуміло

Подати оголошення